At Davis Strategic we are committed to building a stronger community by developing the built environment in harmony with our community. We envision a future where development grows with the environment while enhancing the quality of life for our community.
Due to the health concerns created by Coronavirus we are offering personal 1-1 online video walkthough tours where possible.




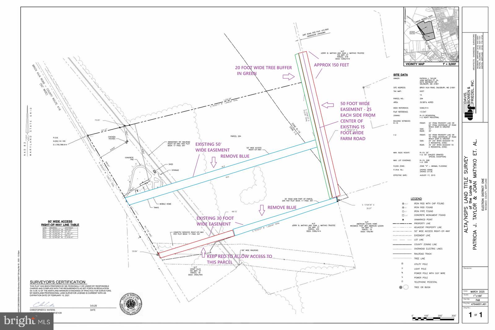
9.51 Acre Parcel off American Legion Road in Salisbury, MD Access to the property is via a 50-foot-wide easement off of American Legion Road at the eastern border of the property. This 50-foot-wide easement is being established within the borders of the 9.51-acre section and will take up approximately 25,200 sq ft (50 x 504 ) of the parcel area. There is also a 30-foot-wide easement off of Brick Kiln Road, but this may be difficult to develop as it crosses a drainage culvert fronting on Brick Kiln. See the site map for reference. The property has access right-of-way lanes on all sides of the property. See annotated survey diagram. There is a 150-foot-wide Conectiv easement for the power lines crossing the property that utilizes approximately 3 acres of the 9.51 total acreage. No structures other than roads can be built within this easement area under the power lines. Zoning: The property is zoned Wicomico County R-15. Use to date has been as leased farmland. An application for a change of zoning may be possible, but please note, this property is not being sold contingent on it being re-zoned. Well and Septic: There is currently no well and septic system serving the property. The soil is well drained and getting a perk should be very possible, but please note, this property is not being sold contingent on its perking.
| 3 weeks ago | Status changed to Active Under Contract | |
| 3 weeks ago | Listing updated with changes from the MLS® | |
| 3 weeks ago | Price changed to $500,000 | |
| 3 months ago | Listing first seen on site |
Did you know? You can invite friends and family to your search. They can join your search, rate and discuss listings with you.